Huracán Iota se fortalece a categoría 5 y amenaza a miles en Centroamérica
El huracán Iota se fortaleció hasta la “catastrófica” categoría 5 y está previsto que azote Centroamérica más tarde el lunes, amenazando áreas ya devastadas por el ciclón Eta hace dos semanas, alertó el Centro Nacional de Huracanes de Estados Unidos.
Se prevé que Iota traiga “viento catastrófico, marejadas ciclónicas potencialmente mortales y lluvias torrenciales” a zonas de Honduras y Nicaragua, advirtió el centro.
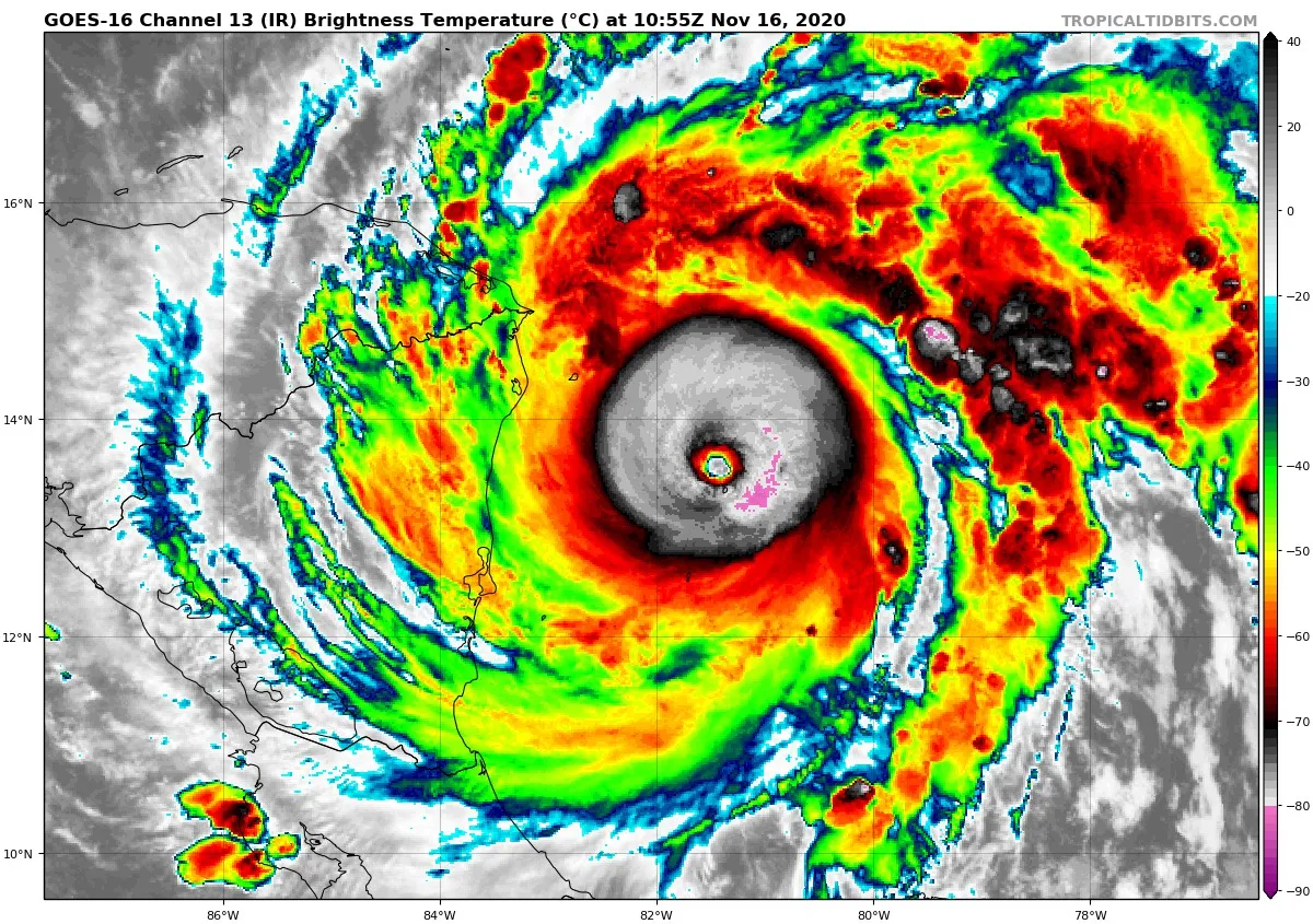
Oficialmente el Huracán Iota es categoria 5 con vientos de 160 mph, se mueve a 9mph y se encuentra a 100 millas de Puerto Cabezas de Nicaragua.
Con vientos sostenidos de 260 km/h y una presión de 917 mb, Iota alcanza la máxima categoría en la escala Saffir-Simpson.
Está ubicado a 205 km al Sureste del Cabo de Gracias a Dios, se espera ingrese a suelo nicaragüense hoy en la noche.
La misma región sufrió dos semanas atrás el violento embate del huracán Eta, que dejó más de 200 muertos y 2.5 millones de afectados en el istmo.
"Inundaciones y deslizamientos de tierra en Honduras y Nicaragua podrían empeorar por lo efectos recientes del huracán Eta, resultando en impactos significativos a potencialmente catastróficos"
A principios de noviembre, Eta, uno de las tormentas más poderosas que impactó Centroamérica en años, tocó tierra en Nicaragua. En los días siguientes, el ciclón avanzó por la región descargando potentes lluvias que dejaron más de 100 fallecidos, al menos 2.5 millones de afectados e infraestructura destrozada desde Panamá hasta el sur de México.
Las autoridades han estado evacuando a pobladores de las zonas más vulnerables a Iota en Guatemala, Honduras y Nicaragua.
En El Salvador se declaró alerta amarilla en todo el país para activar las comisiones de protección civil mientras esperaban las lluvias.
La actual temporada de huracanes del Atlántico ha batido récords en el número de tormentas nombradas, que ya suman 30 tras la aparición de Iota.
Algunos científicos señalan como responsable al incremento de las temperaturas oceánicas debido al cambio climático provocado por el ser humano.
Reviewed by RVN
on
11/16/2020 10:04:00 a. m.
Rating:

No hay comentarios