Colombia vivirá una temporada de huracanes que romperá récords, según el Gobierno
La ministra de Ambiente, Susana Muhamad, y la directora del Instituto de Hidrología, Meteorología y Estudios Ambientales (Ideam), Ghisliane Echeverry, advirtieron este jueves que Colombia está en alerta por la temporada de ciclones y huracanes a partir del 1 de junio de 2024, que "romperá récords".
"Esperamos que va a ser una temporada de ciclones bastante fuerte que va a romper récords. Se esperan al menos 23 tormentas este año, cifra que supera con creces lo que suele ocurrir en la temporada", afirmó la directora del Ideam en una rueda de prensa.
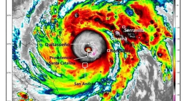
En los años recientes, la peor situación que ha vivido Colombia por cuenta de los huracanes ocurrió en el archipiélago de San Andrés, Providencia y Santa Catalina, que fue azotado en noviembre de 2020 por el huracán Iota, de categoría 5, que causó graves daños en las infraestructuras de las islas y también en Centroamérica.
En esta temporada que comienza el 1 de junio, la zonas que serán más vulnerables ante los ciclones y huracanes volverán a ser las del Caribe, en concreto, ese archipiélago y el departamento caribeño de La Guajira.
La directora del Ideam evidenció también una nueva preocupación de la institución por la probabilidad de que "por esta situación ambiental anómala" los fenómenos que suelen suceder en el norte "bajen a la zona tropical".
Es por ello que recomendó a alcaldes, gobernadores y población civil que solo consulten fuentes oficiales, pues "alrededor de estos temas hay muchísima desinformación que genera pánico y hay que actuar bajo los protocolos oficiales".
Según un pronóstico de abril de la Universidad Estatal de Colorado (CSU), la temporada de huracanes en el Atlántico de este año se prevé "extremadamente activa" con la formación de 23 tormentas con nombre, de las cuales 11 adquirirán categoría de huracán y 5 de estos serán de intensidad mayor, con vientos a partir de 111 mph (178 km/h).
La combinación del regreso del fenómeno de 'La Niña' en el Pacífico y las "temperaturas récord" de la superficie del mar favorecerán una temporada de huracanes superior a lo normal este verano y otoño, según el Departamento de Ciencias Atmosféricas de CSU.
Hasta el momento, la temporada de huracanes de 2024 presenta características similares a las de 1878, 1926, 1998, 2010 y 2020.
"Todas estas temporadas análogas fueron temporadas de huracanes en el Atlántico muy activas", dijo Phil Klotzbach, investigador científico del Departamento de Ciencias Atmosféricas de CSU y autor principal del informe.EFE
Reviewed by RVN
on
5/16/2024 09:04:00 a. m.
Rating:

No hay comentarios